: “Turning storm-impacted land into a high-potential development opportunity.”
Acquired in early 2024, this land parcel in Naples had been impacted by Hurricane Ian. After completing initial entitlement and feasibility work, we uncovered a viable path to develop 11 townhomes on the site. Within just a few months, the property was sold to a regional developer during summer 2024, with entitlements in place. This fast-turn project exemplified our ability to unlock hidden value and deliver timely returns for our investors.
Dedication to creating sustainable growth and modern living spaces
Location and Accessibility
The property benefits from close proximity to key destinations and infrastructure within Naples.
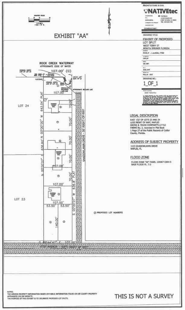
Survey and Zoning Details
The property is classified under RMF-6 zoning and features frontage along multiple roadways and natural boundaries.
- Total land size: 1.89 acres
- Approximate buildable area: 68,000 square feet
- Approximately 110 feet of frontage on Estey Avenue
- Approximately 640 feet of frontage on Shadowlawn Drive
- Northern lot includes 107 linear feet along Rock Creek





Naples, Florida Real Estate Market
Naples is located along Florida’s Gulf Coast and is widely recognized for its luxury real estate, coastal lifestyle, and strong residential demand. The city consistently ranks among the top places to retire in the United States.
As of February 2022, average home sale prices increased by 24%, rising from $834,000 to $1.033 million, reflecting continued demand within the local housing market.
Lifestyle and Community
Naples offers white-sand beaches along the Gulf of Mexico and a comfortable year-round climate. The area is supported by established residential neighborhoods, award-winning restaurants, shopping destinations, retail services, commercial parks, and office spaces, contributing to ongoing residential growth.